Ariane LeBlanc

+
Ariane LeBlanc

Ariane LeBlanc
Residential and Commercial Real Estate Broker

Cellular : 581 500-1117
Office : 428 627-3333
Fax :


Lot for sale, Lac-Mégantic |
$125,000 +GST/QST

Print Back to properties
Other
Other
1/2   Other
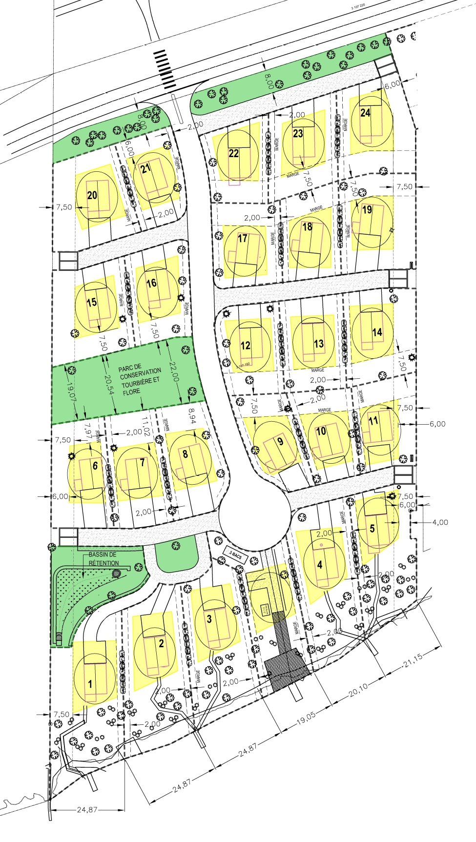
Drawing (sketch)
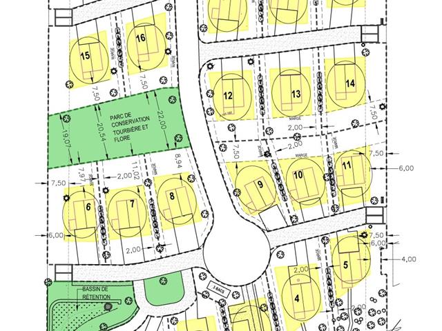
2/2   Drawing (sketch)

Rue de la Petite Ourse, Lac-Mégantic
Centris No. 15914723


Detailed information

Characteristics

Property Type
Lot
Year of construction
Type of building
Trade possible
Building dimensions
Living Area
Lot dimensions
Deed of Sale Signature
30 days
Zoning
Residential
Pool
Water supply
Municipality
Parking (total)
Driveway
Roofing
Garage
Siding
Lot
Windows
Topography
Window Type
Distinctive Features
Energy/Heating
View
Basement
Proximity
Cross-country skiing, High school, Alpine skiing, Elementary school, Bicycle path, Park - green area, Hospital, Golf, Daycare centre
Bathroom
Sewage system
Municipal sewer
Dimensions
Lot Area
8,114.00 sq. ft.
Expenses / Energy (per year)
Common expenses/Rental
$960
Read more Read less

Calculators

Purchase price :
Interest rate :
Amortization:
Down payment:
Mortgage amount:
Ville:
Purchase price:
Payment :
You must specify the amount of the payment.
Payment frequency :
Interest rate :
Amortization period :
Down payment

In the same district

Request a visit or information
Cookie Notice

We use cookies to give you the best possible experience on our website.
By continuing to browse, you agree to our website’s use of cookies. To learn more click here.